あなたのクリニック・医院開業を
サポートします。
ご希望の物件が見つからない方!
ご希望の物件が見つからない場合はお問合せください。
最適な医院開業物件をご提案いたします。
電話受付時間:平日9:00~18:00
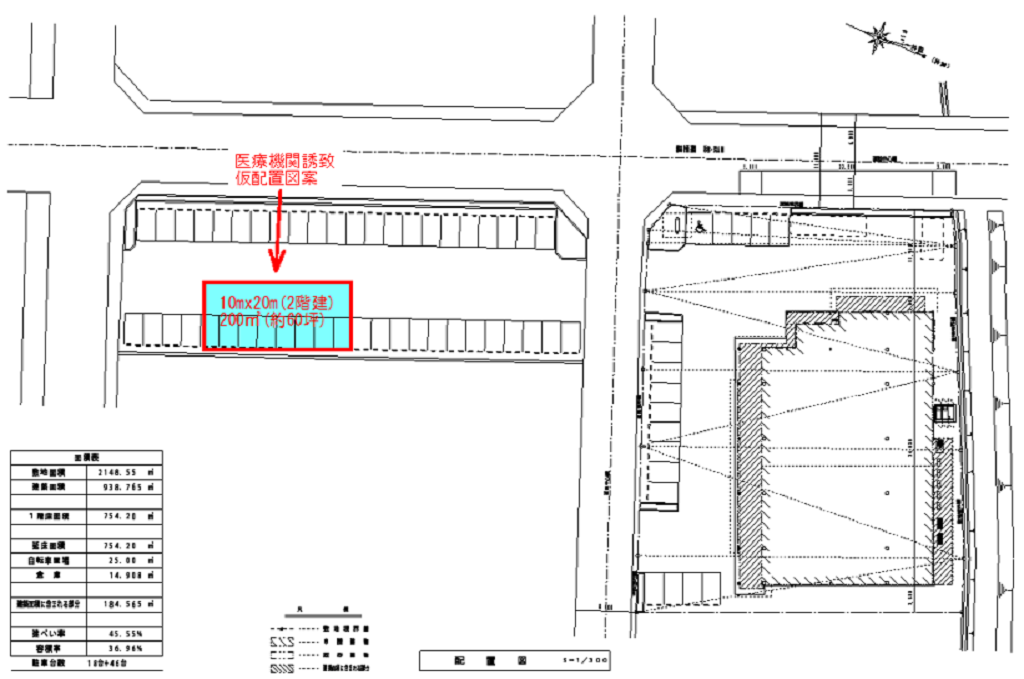
【ドラッグストア隣接】【駐車場アリ】【視認性良好】
京都丹後「峰山」駅より徒歩約10分。
ドラッグストア敷地内のクリニックテナントです。
現駐車場の一画に建築予定です。
月平均15,000人の来店客数に伴う集患効果が期待できます。
詳細はお気軽にお問い合わせください。
詳細情報
| 物件名称 | 峰山杉町テナント |
|---|---|
| 所在地 | 京都府京丹後市峰山町杉谷863 |
| 最寄駅 / 駅徒歩 | 京都丹後鉄道「峰山」駅 徒歩10分 |
| 募集科目 | 内科 小児科 耳鼻咽喉科 整形外科 皮膚科 婦人科 泌尿器科 眼科 心療内科 神経外科 その他 |
| 募集区画・面積 | 約60坪 |
| 賃料(共益・管理費) | 応相談 |
| 駐車場・付帯設備等 | 駐車場 あり 【同敷地内建物】 ・ドラッグストア ・調剤薬局 募集科目以外の科目も直接ご相談承ります |
| こだわり条件 | 住宅街 |
地図
ご希望の物件が見つからない場合はお問合せください。
最適な医院開業物件をご提案いたします。
電話受付時間:平日9:00~18:00